icon

[Agora Drawing] PD 415 (DA 5073)

Profiles of plates, bowls, and lids ... Piet de Jong? ... Fragile Stained Dirty Cartridge Paper Drafting Ink

icon

[Agora Drawing] PD 419 (DA 5074)

Profiles of household-ware fragments ... Dirty Cartridge Paper Drafting Ink

icon

[Agora Drawing] PD 423 (DA 5075)

Subgeometric skyphos ... Piet de Jong ... Cf. Hesperia Suppl. 2 (1939), p. 166, fig. 117. Dirty Cartridge Paper Drafting Ink

icon

[Agora Drawing] PD 422 (DA 5076)

Subgeometric hut model ... Piet de Jong ... Cf. Hesperia Suppl. 2 (1939), p. 187, fig. 138. Dirty Cartridge Paper Drafting Ink

icon

[Agora Drawing] PD 409 (DA 5077)

Iron fibulae, XVIII 11-14 ... V-95 V-95 Dirty Cartridge Paper Drafting Ink

icon

[Agora Drawing] PD 417 (DA 5078)

Neck panel detail of oinochoe ... Piet de Jong ... V-22 V-22 Dirty Cartridge Paper Drafting Ink

icon

[Agora Drawing] PD 416 (DA 5080)

Neck panel detail of oinochoe ... Piet de Jong ... V-28 V-28 Dirty Cartridge Paper Drafting Ink

icon

[Agora Drawing] PD 421 (DA 5058)

Protoattic oinochoe, unrolled drawing ... Piet de Jong ... Cf. Hesperia Suppl. 2 (1939), p. 134, fig. 98. Repaired Cartridge Paper Drafting Ink

icon

[Agora Drawing] PD 420 (DA 5064)

Inscriptions incised on vases ... Piet de Jong ... Fragile Cartridge Paper Drafting Ink

icon

[Agora Drawing] PD 403 (DA 5070)

Sherd (IV 2) ... Piet de Jong ... VI-92 VI-92 Dirty Cartridge Paper Drafting Ink

icon

[Agora Drawing] PD 405 (DA 5071)

Hydria detail (XI 7) ... Piet de Jong ... Dirty Cartridge Paper Drafting Ink

icon

[Agora Drawing] PD 414 (DA 5072)

Subgeometric cup ... Piet de Jong ... V-23 V-23 Cartridge Paper Drafting Ink

icon

[Agora Drawing] PD 413 (DA 6749)

Protoattic fragment in watercolor ... Piet de Jong ... From Cemetery of the Geometric Period 7-302 7-302 Fragile Watercolor Paper Watercolor

icon

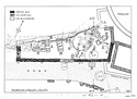
[Agora Image] 2002.01.0401

Plan of grave precinct south of the Tholos ... J. Travlos ... PD 401 Horizontal (normal) ... 1955

icon

[Agora Image] 2002.01.0402

Section through the grave area ... J. Travlos ... PD 402 Horizontal (normal)

icon

[Agora Drawing] PD 418 (DA 10732)

Detail of oinochoe ... Piet de Jong ... V-27 V-27 Dirty Cartridge Paper Drafting Ink

icon

[Agora Image] 1997.04.0337 (5-127)

Wall C, grave area and Well 3 at right, early road at left ... Horizontal (normal) ... 4 May 1935

icon

[Agora Image] 1997.04.0339 (5-97)

The neck of an amphora upright from the grave area (not a burial) ... 1285 Horizontal (normal) ... 16 February 1935

icon

[Agora Image] 1997.04.0340 (7-217)

Early cemetery area. West parapet of early road cleared to bedrock ... west Horizontal (normal) ... 1937

icon

[Agora Image] 1997.04.0341 (XIV-39)

Geometric cemetery. Northeast corner of the cemetery. Cf. Hesperia Suppl. 4 (1940), p. 4, fig. 3 ... northwest 2622 Horizontal (normal) ... May 1938