icon

[Agora Drawing] PD 2531 (DA 5858)

Bronze Byzantine pot from Section ΒΕ ... L.A.D ... 1980

icon

[Agora Drawing] PD 1808 (DA 2076)

Restored plan of the Stoa Poikile ... John Travlos ... Dirty Light Tracing Paper Drafting Ink ... 1968

icon

[Agora Drawing] PD 3084 (DA 13318)

Orthostate Block from Poikile Stoa ... Sofia Economou ... Heavy Tracing Paper Drafting Ink ... 2019

icon

[Agora Drawing] PD 3088 (DA 13322)

Step Block probably from the Poikile Stoa ... Sofia Economou ... Heavy Tracing Paper Drafting Ink ... 2019

icon

[Agora Drawing] PD 3089 (DA 13323)

Architrave from Poikile Stoa ... Sofia Economou ... Heavy Tracing Paper Drafting Ink ... 2019

icon

[Agora Drawing] PD 3014 (DA 12046)

Cross-section through eastern part of the Stoa Poikile, looking N.E. For John Camp ... Anne Hooton ... Digital drawing.

[Agora Drawing] DA 11833

Poikile Stoa inscription PD 2543. Squeeze on reused Euthenteria Block at the West End of Stoa

icon

[Agora Image] 2002.01.1175

Stoa Poikile: Pier capital section (1:1), top plan (1:5), and three elevations (1:5) ... W.B. Dinsmoor, Jr ... PD 1175 Horizontal (normal) ... 1961

icon

[Agora Image] 2002.01.1177

Stoa Poikile: Cyma reversa crowning moulding ... W.B. Dinsmoor, Jr ... PD 1177 Horizontal (normal) ... 1961

icon

[Agora Drawing] PD 2528 (DA 15754)

Triglyph Block from the Stoa Poikile (possibly). Plan, front, and side views ... W.B. Dinsmoor, Jr. Sofia Takou ... Reworked PD 2528 ... 1982 2025

icon

[Agora Drawing] PD 2526 (DA 15755)

Top plan, bottom plan, and front elevation of an Ionic capital from the Stoa Poikile (possibly) ... W.B. Dinsmoor, Jr. Sofia Takou ... Reworked PD 2526 ... 1982 2025

icon

[Agora Drawing] PD 2526 (DA 2534)

Top plan, bottom plan, and front elevation of an Ionic capital from the Stoa Poikile (possibly) ... W.B. Dinsmoor, Jr ... Dirty Heavy Tracing Paper Drafting Ink Pencil ... 1982

icon

[Agora Drawing] PD 2526 (DA 2535)

Top plan, bottom plan, and front elevation of an Ionic capital from the Stoa Poikile (possibly) ... W.B. Dinsmoor, Jr ... 1982

icon

[Agora Drawing] PD 2528 (DA 2539)

Triglyph Block from the Stoa Poikile (possibly). Plan, front, and side views ... W.B. Dinsmoor, Jr ... Dirty Heavy Tracing Paper Drafting Ink Pencil ... 1982

[Agora Drawing] PD 2528 (DA 2540)

Triglyph Block from the Stoa Poikile (possibly). Plan, front, and side views ... W.B. Dinsmoor, Jr ... 1982

icon

[Agora Drawing] PD 2527 (DA 2545)

Restored 1/2 front elevation, section, and balteus of an Ionic Capital from the Stoa Poikile (possibly) ... W.B. Dinsmoor, Jr ... Dirty Heavy Tracing Paper Drafting Ink ... 1982

icon

[Agora Image] 2002.01.1808

Restored plan of the Stoa Poikile ... J. Travlos ... PD 1808 ... 1968

icon

[Agora Image] 2002.01.2504

Perspective drawing of the Stoa Poikile ... W.B. Dinsmoor, Jr ... PD 2504 Horizontal (normal) ... 1981

icon

[Agora Image] 2002.01.2523

Front elevation of western end of the Stoa Poikile ... W.B. Dinsmoor, Jr ... PD 2523 ... 1982

icon

[Agora Image] 2002.01.1176

Stoa Poikile: section and elevation of the reconstructed entablature ... W.B. Dinsmoor, Jr ... PD 1176 Horizontal (normal) ... 1961

icon

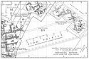
[Agora Image] 2009.01.0341

Parts of sections ΒΕ and ΒΗ. Plan of Mediaeval remains lying over the Stoa of Poikile. Plan by R. C. Anderson 2007 ... PD 2897 In Plans and Drawings database as DA 12408 (PK 2018). Horizontal (normal) ... 19 Nov 2007

icon

[Agora Object] B 1797: Tankard

Mended. About three-quarters preserved. Very thin bronze, much corroded, except for handle. Round globular body, high flaring neck, slightly thickened rim. Single solid handle, rim to body, attached ... 5 August 1980

icon

[Agora Image] 1997.01.0238 (XXXV-71)

Water-color restoration of painted ornament on anta capital. Elevation. Reconstructed from poros fragments found in the Long Late Roman Wall in front of the Stoa Attalos ... Marian Welker ... PD 508 Horizontal (normal) ... ca. 1948

icon

[Agora Image] 1997.01.0239 (XXXVIII-47)

Water-color restoration of painted ornament on anta capital. Perspective view and section. Reconstructed from poros fragments found in the Long Late Roman Wall in front of the Stoa Attalos ... Marian Welker ... PD 507 Horizontal (normal) ... July 1949

icon

[Agora Image] 1997.01.0243 (83-121)

Pier capital, section 1:1. Top plan and three elevations, 1:5 ... W.B. Dinsmoor, Jr ... PD 1175 Horizontal (normal) ... 1961

icon

[Agora Drawing] PD 1175 (DA 2061)

Stoa Poikile: pier capital cross-section (1:1), top plan (1:5), and three elevations (1:5) ... William B. Dinsmoor, Jr ... 83-121 83-121 Torn Dirty Repaired Faded Cartridge Paper Drafting Ink ... 1961

icon

[Agora Image] 2012.52.0587 (XXXV-71)

Water-color restoration of painted ornament on anta capital. Elevation. Reconstructed from poros fragments found in the Long Late Roman Wall in front of the Stoa Attalos ... Marian Welker ... PD 508 AMS Horizontal (normal) ... ca. 1948

icon

[Agora Image] 2012.52.0819 (XXXVIII-47)

Water-color restoration of painted ornament on anta capital. Perspective view and section. Reconstructed from poros fragments found in the Long Late Roman Wall in front of the Stoa Attalos ... Marian Welker ... PD 507 AMS Horizontal (normal) ... July 1949

icon

[Agora Image] 2012.56.0838 (83-121)

Pier capital, section 1:1. Top plan and three elevations, 1:5 ... W.B. Dinsmoor, Jr ... PD 1175 AMS Horizontal (normal) ... 1961

icon

[Agora Drawing] PD 1185 (DA 2236)

Stoa Poikile: proposed plan of corner of building; sketch ... William B. Dinsmoor, Jr ... 83-127 83-127 ... 1961

icon

[Agora Drawing] PD 2523 (DA 2569)

Front elevation of western end of the Stoa Poikile ... W.B. Dinsmoor, Jr ... Dirty Heavy Tracing Paper Drafting Ink ... 1982

icon

[Agora Drawing] PD 1176 (DA 2058)

Stoa Poikile: cross-section and elevation of the reconstructed entablature ... William B. Dinsmoor, Jr ... 83-126 83-126 Torn Dirty Repaired Cartridge Paper Drafting Ink ... 1961

icon

[Agora Image] 2012.63.0071 (2010-10-09)

End of season 2010, section ΒΗ. Inner side of the Stoa. Cf. 2010.15.0008 ... Craig Mauzy ... AMS east Horizontal (normal) ... 9 Aug 2010

icon

[Agora Image] 2012.63.0072 (2010-10-10)

End of season 2010, section ΒΗ. Inner side of the Stoa. Cf. 2010.15.0008 ... Craig Mauzy ... AMS east Horizontal (normal) ... 9 Aug 2010

icon

[Agora Object] A 1697: Cornice Fragment: Painted

From raking cornice(?). Top surface and back of soffit of overhang and vertical fascia below, preserved. Broken at both ends, front and back and bottom. Trace of red paint on fascia, of fine white stucco ... April 1949

icon

[Agora Object] A 1718: Crowning Molding Fragment

Bottom and bottom part of front preserved, broken elsewhere. Bottom finished smooth with broad toothed chisel. Bottom of face is fascia with traces of faintly incised maeander pattern. Above the clear ... April 1949

icon

[Agora Image] 1997.01.0240 (XXXVIII-48)

Water-color restoration of painted decoration of the epikranitis. Reconstructed from poros fragments found in the Long Late Roman Wall to west of Stoa of Attalos ... Marian Welker ... PD 509 Horizontal (normal) ... 1949

icon

[Agora Image] 2012.52.0820 (XXXVIII-48)

Water-color restoration of painted decoration of the epikranitis. Reconstructed from poros fragments found in the Long Late Roman Wall to west of Stoa of Attalos ... Marian Welker ... PD 509 AMS Horizontal (normal) ... 1949

icon

[Agora Image] 2014.01.0046

Restored pattern of the Epikranitis at the Stoa Poikile in water color ... PD 509 DA 2239 Image made from raw file of 2012.91.0230 (EEA scan). Horizontal (normal)

icon

[Agora Image] 2014.01.0045

Elevation of the anta capital at the Stoa Poikile in water color ... PD 508 DA 2238 Image made from raw file of 2012.91.0229 (EEA scan). Horizontal (normal)