| Name: | PD 1404 (DA 415) | |
| PD: | PD 1404 | |
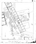
| Title: | Actual state plan of section ΠΑ, showing the Southeast Stoa and the Coletti Garden excavation. | |
| Artist: | John Travlos | |
| Storage: | 38 | |
| Negative: | 84-167 | |
| Bibliography: | Hesperia 35 (1966), p. 81, fig. 1. | |
| Date: | 1965 | |
| References: | Publication: Hesperia 35 (1966) Image: 2012.57.0100 (84-167) Image: 1997.15.0136 (84-167) Image: 2002.01.1404 |