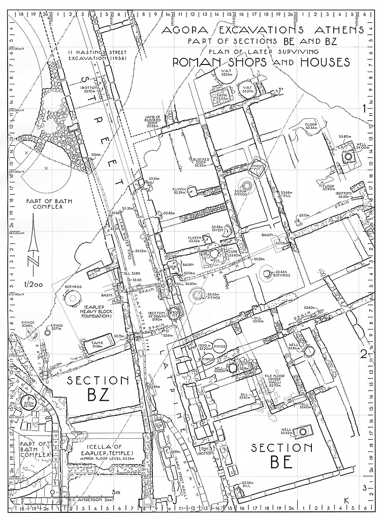
Drawing: PD 2896 (DA 12102)Sections ΒΕ, ΒΖ. Plan of later surviving Roman shops and houses, 4th-5th century.
image
Name:   PD 2896 (DA 12102)
PD:   PD 2896
Title:   Sections ΒΕ, ΒΖ. Plan of later surviving Roman shops and houses, 4th-5th century.
Artist:   Richard C. Anderson
Notes:   Published at 1:200. Microstation dgn PD 2896_Late_Roman_Walls.dgn/:200.
Negative:   2009.01.0344
    2009.07.0002
    2015.21.0024
Period:   Roman
Bibliography:   Camp (2008), p. 91, fig. 5.
    Hesperia 76 (2007), p. 631, fig. 2.
Date:   2007
Section:   ΒΕ
    ΒΖ
Elevation:   51.90
52.82
53.29
53.80
54.00
References:   Publication: Camp (2008)
Publication: Hesperia 76 (2007)
Image: 2015.21.0024
Image: 2009.01.0344
Image: 2009.07.0002